Nous voulons nous rendre à Labuanbajo sur la côte Ouest de l'île de Flores afin d'organiser un trip sur l'île de Komodo pour voir le fameux dragon, plus gros varan au monde et fantasme absolu de l'herpétologue.
Le 23 août, nous partons de Gili Meno en bateau puis enchaînons carriole à cheval, bemo et bus pour traverser Lombok, ferry, bus et bus plus petit pour traverser Sumbawa et enfin ferry, au total 33h de voyage. Après le transsibérien et le transmongolien c'est notre plus long trajet. C'est un peu fatiguant, surtout la nuit en bus avec une clim si forte qu'on a froid même en polaire, mais finalement ça ne nous parait pas si long que ça, on s'habitue peut-être.
A l'arrivée c'est un peu la course pour trouver à se loger, tous les touristes vont aux mêmes endroits, on se croirait à Pékin express lorsque les concurrents cherchent un véhicule. En s'éloignant du port les hôtels sont moins pleins et les prix baissent.
Le lendemain nous cherchons à organiser notre trip sur l'île de Komodo. Cela ne s'avère pas très simple. Au départ, nous voulions y aller par nos propres moyens et rester un certain temps là bas mais il n'y a pas de transport public pour s'y rendre. Au port, on nous dit qu'un bateau y va de temps en temps, environs 1 fois par semaine, mais pas plus. Affréter un bateau pour nous 2 est trop cher. On se rend à l'évidence, il va falloir passer par une agence même si on n'aime pas trop ça. Notre hôtel nous propose un trip et il y a déjà 3 personnes. Nous aimerions faire une randonnée un peu longue (4 ou 5h) sur Komodo mais dès que l'on sort des programmes tout fait ça parait compliqué et ça explose le budget. Il faut trouver d'autres personnes pour payer moins cher. Une agence nous dit que ce que l'on veut faire est possible et il a déjà 2 autres personnes, il faut en trouver 2 autres pour optimiser la place et être 6 sur le bateau. A l'hôtel on nous dit que ce n'est pas possible, en plus une autre personne de l'hôtel nous dit qu'on sera 9 sur le bateau, on trouve que ça fait trop de monde. Au moment du départ, l'agence nous dit que nous sommes 5, il a trouvé 3 personnes mais les 2 premiers ont annulé. En fait, nous retrouvons les 3 de l'hôtel et un couple d'espagnol, nous sommes donc 7 sur le bateau. Bravo si vous avez suivi. Au final, nous avons passé la veille plusieurs heures à chercher une agence alors qu'on aurait pu accepter l'offre de l'hôtel. Conclusion : agences et hôtels nous racontent tous des versions différentes, il faut prendre le moins cher, de toute façon le programme est le même puisqu'on se retrouve tous dans le même bateau !
Nous partons d'abord pour l'île de Rinca où il y a aussi des dragons de Komodo. Nous navigons dans un paysage d'îles aux reliefs arides et escarpés, bordées de mangroves et de récifs coralliens, où quelques villages de pêcheurs sont installés à l'ombre des cocotiers et des bananiers.
A l'entrée du parc national sur Rinca, on nous "rançonne", ticket d'entrée du parc, taxes de l'État, taxes pour pouvoir prendre des photos, plus les guides obligatoires, il nous en faut 2 car nous sommes plus de 5. Heureusement, il n'y a pas de taxes sur les taxes... Nous faisons 2h de balade et observons, des dragons, un serpent, des buffles, des cerfs et des singes. Ici les animaux n'ont pas peur de l'homme qui ne les chassent pas. C'est l'heure de la sieste pour les dragons. Ces varans géants attaquent parfois les buffles, une morsure leur inocule tout un tas de sales bactéries et le buffle fini par mourir 2 ou 3 semaines plus tard de multiples infections. C'est alors l'heure du repas. Ils peuvent de la même façon s'attaquer aux humains. De la naissance à l'âge de 3 ans, ils vivent principalement dans les arbres car les gros n'hésitent pas les manger !
Petit dragon d'un an.
Deux bestioles non identifiées.
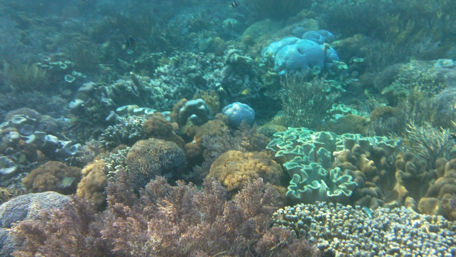
Après l'île de Rinca nous mettons le cap vers Komodo. On s'arrête environs 1 heure aux abords de la "Pink beach", petite plage de Komodo, pour faire du snorkeling. Et là on se serait cru dans un aquarium, des coraux et des poissons de toutes les couleurs et de toutes les formes, une raie, des bénitiers, des étoiles de mer, bref, un spectacle splendide...
Nous remontons en bateau et navigons vers une petite baie calme pour passer la nuit à bord. Il parait que l'on peut voir des "flying fox", grosses chauves souris fructivores, mais elles ne se montrent pas. Par contre, on a droit à un beau coucher et un beau lever de soleil, lui on peut lui faire confiance, il est toujours présent.
Nuit à bord du bateau.
Le matin du deuxième jour, on débarque sur l'île de Komodo et on fait une promenade de 2 heures avec 2 rangers (guides). On observe un jeune varan d'environ 2 ans. Puis de retour vers les infrastructures, 2 gros dragons sont présents attirés par l'odeur des cuisines. Nous retournons vers le bateau lorsqu'un énorme dragon de plus de 3 mètres de long arrive de la plage en marchant. Le voir se déplacer est très impressionnant, il marche vite, nous devons courir pour le suivre. Il sort souvent sa langue fourchue d'au moins 30 cm de long. Tout le monde s'écarte assez loin de la route du varan, ces animaux sont imprévisibles et il pourrait se jeter sur quelqu'un.
Après cette montée d'adrénaline, nous embarquons pour rejoindre un point en mer appelé "Manta point" car on peut y apercevoir des raies manta. Pour nous ce sera un très beau site de snorkeling, mais nous ne verrons pas ces créatures géantes. On ne peut pas gagner à tous les coups !
Nous repartons et nous arrêtons au dernier arrêt prévu sur une toute petite île où nous passons encore quelque temps à faire du snorkeling et à lézarder sur la belle plage.
Nous repartons et nous arrêtons au dernier arrêt prévu sur une toute petite île où nous passons encore quelque temps à faire du snorkeling et à lézarder sur la belle plage.
Notre bateau avec tout son équipage.
Nous sommes de retour à Labuanbajo le 27 août en fin de journée, nous ne savons pas ce que nous faisons demain, rester sur Flores ou revenir sur Bali.
Le vert fluo du serpent le rendrait presque sympathique, mais pour les dragons, rien à faire, rien qu'à les voir en photo, je ne peux réprimer un mouvement de répulsion. Pourtant, je vois que vous en avez approché plusieurs d'assez près... heureusement qu'il y avait le "ranger" avec son grand bâton, car l’œil du varan devant lequel pose Boris a l'air de jauger sa proie! Bon, vous en êtes revenus, ils ont dû trouver un autre repas! Et dans l'eau, des poissons et des coraux superbes et pas de requin?
RépondreSupprimerGrosses bises
Et pourtant le serpent vert est extremement venimeux. Il y a des requins mais nous n'en avons pas vu. T'inquietes pas c'est pas un gros lezard qui aura ma peau, il faut plus se mefier d'Edith.
SupprimerBisous
Selamat pagi les chanceux,
RépondreSupprimerProfitez en bien, l'Indonésie est l'un des plus beaux pays aux miultiples contrasts. Et ses habitants sont des plus adorables.
Quant à Fredéric "qui" du précédent post, c'est Frédéric Ego de DRD/MG, ton collègue du siège Edith.
A bientôt pour d'autres aventures.
Fred.
Selamat malam collegue,
SupprimerJe vois que tu possedes les rudiments du bahasa indonesia.
A+
Effectivement, un paradis pour l'herpéto tu l'as dit Boris ;)
RépondreSupprimerVous avez pu les voir à souhait, ils sont superbes et certains ont l'air franchement mastoc!
Superbes vues marines également,ça donne trop envie l'eau est parfaite!
J'ai pas visité votre blog depuis un moment, j'en profites pour vous dire que les paysages que vous avez traversés en Mongolie notamment sont vraiment terribles, c'est super!
Profitez bien tous les 2, à l'occase j'essairai de mettre un nom sur tes snakes ;)
Bizz
Je peux te dire que je pensais à toi au milieu des reptiles sur komodo, et de manière générale à chaque fois qu'on croise une bestiole relevant de l'herpeto.
SupprimerTchao et bise à Karline